Appearance
BDFM - Brain Diseases Foundation Model for Segmentation and Classification Tasks
Jiatian Zhang, Chunxiao Xu, Han Zhong, Yiheng Cao, and Lingxiao Zhao. 2025. "BDFM: Brain Diseases Foundation Model for Segmentation and Classification Tasks", IEEE Transactions on Biomedical Engineering (TBME), doi: 10.1109/TBME.2025.3637146

The lack of high-quality annotated images and the limited transferability of task-specific models delay the development of AI-assisted diagnosis for brain diseases. Developing self-supervised foundation models has attracted the attention of more and more researchers as a promising solution to address this problem.
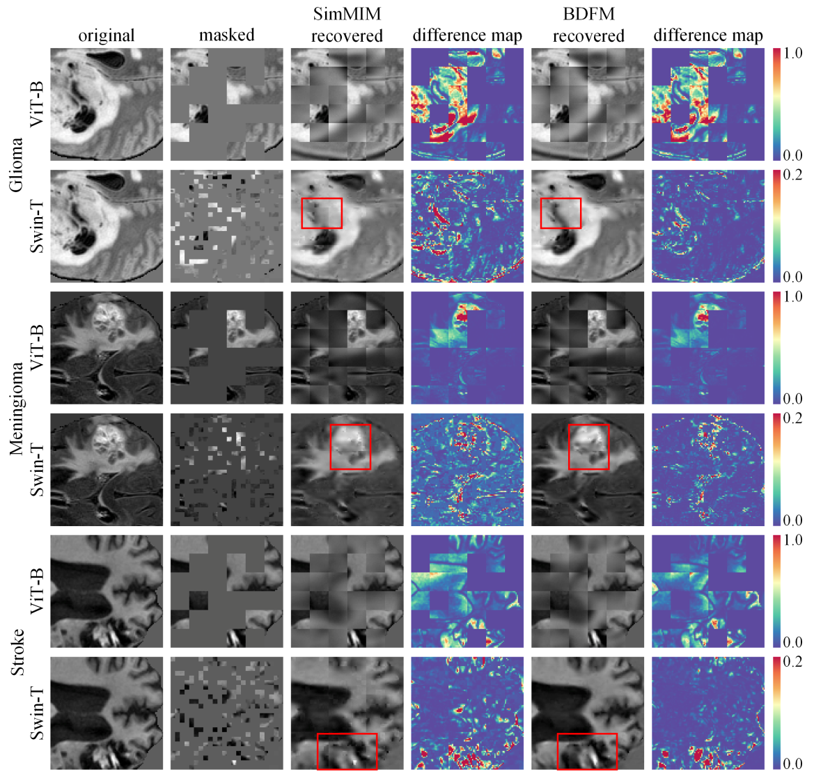
This paper proposes a masked image modeling (MIM)-based foundation model of brain disease named BDFM. First, we create a database named BD-15k of more than ten brain diseases for pre-training. Second, to enhance the model’s ability to extract key features in lesion regions, we propose a spatial-frequency dualdomain decoder, which allows the decoding perspective of BDFM to focus on both spatial and frequency domains. In addition, our method employs a spatial mean masking strategy to replace the traditional masking methods. BDFM outperforms the baseline method in reconstructing lesion details.

Extensive qualitative and quantitative experiments on two public datasets demonstrate that BDFM adapts well to segmentation and classification tasks based on small annotated datasets. Its performance outperforms task-specific models and does not require additional complex task-specific design, which has significant clinical value for AI-assisted diagnosis of brain diseases. The source code is available at https://github.com/zzzjjj98/BDFM.
